Gmina Udanin: 4 mln zł na drogi powiatowe i gminne
W mijającej kadencji na terenie Gminy Udanin zostały przebudowane drogi za kwotę ponad 45 mln zł. - Jeszcze w tym roku przebudujemy kolejne ważne odcinki dróg. Na podstawie porozumienia przejęliśmy od powiatu prawie 5 km dróg, które w całości zostaną przebudowane z budżetu gminy. Kontynuować będziemy również przebudowę dróg gminnych. Trwa postępowanie przetargowe na ul. Dębową w Udaninie i Sportową w Ujeździe Górnym. Mamy złożone dokumenty na drogi transportu rolnego i drogę wojewódzką odcinek Konary-Budziszów Wielki. W sumie tylko w 2024 roku na terenie Gminy Udanin będzie przebudowane kolejne ok. 15 km dróg - podkreśla Wójt Gminy Udanin Wojciech Płaziuk.
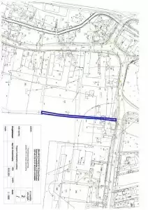
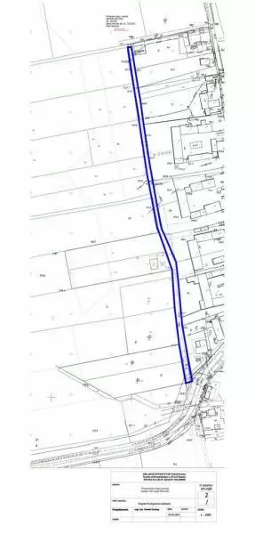
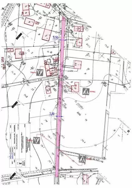
19 lutego br. w Urzędzie Gminy odbyło się spotkanie Wójta Wojciecha Płaziuka z projektantem Pawłem Draznym, które dotyczyło omówienia przygotowania dokumentacji technicznej pod potrzeby przebudowy dróg gminnych:
- DZIAŁKA NR 267/2 ul Polna obręb Udanin
- DZIAŁKA NR 507 obręb Piekary
- DZIAŁKA NR 542/1 obręb Piekary
- DZIAŁKA NR 405 obręb Konary
- DZIAŁKA NR 405 obręb Różana
- DZIAŁKA NR 45/31 obręb Ujazd Górny
- DZIAŁKA NR104/1 obręb Ujazd Górny
- DZIAŁKA NR 448/2 Ujazd Górny
- DZIAŁKA NR 206/2 obręb Jarosław
- DZIAŁKA NR 139 obręb Sokolniki
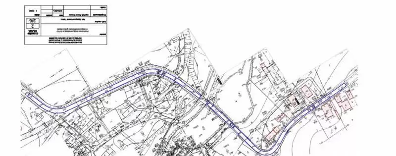
oraz powiatowych:
- DROGA POWIATOWA 2942D W M. GOŚCISŁAW
- DROGA POWIATOWA 2072D W M. JAROSŁAW
- DROGA POWIATOWA 2177D W M. KARNICE
- DROGA POWIATOWA 2790D W M. ŁAGIEWNIKI ŚREDZKIE
- DROGA POWIATOWA 2020D W M. DROGOMIŁOWICE
- DROGA POWIATOWA 2089D W M. PIEKARY
Decyzją Rady, Gmina Udanin przeznaczyła na ten cel 4 mln zł, z czego 2,5 mln zł na drogi powiatowe i 1,5 mln zł na drogi gminne. Jeszcze w tym tygodniu zostanie ogłoszony przetarg.
Na przestrzeni 5 lat Gmina Udanin przebudowała drogi na swoim terenie za kwotę ponad 45 mln zł.
(gu/mpr)
GALERIA
ZOBACZ RÓWNIEŻ
ARTYKUŁY PARTNERÓW
Miejsce na Twoją reklamę
tel. kom. +48 500 027 343
